La ruta de Melissa: hacia dónde irá el devastador huracán
El huracán Melissa, que ya azota la isla de Jamaica, se perfila ahora hacia nuevos destinos en el Caribe con un peligro que va mucho más allá de los vientos: su desplazamiento lento amenaza lluvias torrenciales, marejadas ciclónicas y una devastación prolongada.
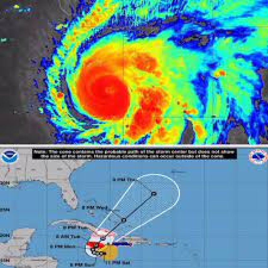
Melissa ya ha alcanzado la categoría 5 en la escala de huracanes, con vientos sostenidos superiores a los 260 km/h. Pese a esa fuerza extrema, lo que más alarma a los meteorólogos es su velocidad: se desplaza a apenas unos 5 km/h, lo cual le permite descargar lluvias durante horas o incluso días sobre la misma zona. Según los modelos de trayectoria más recientes, el huracán avanzará hacia el sudeste de Cuba en las próximas horas. Se espera que toque tierra entre la noche del martes y la madrugada del miércoles, antes de continuar su desplazamiento hacia las Bahamas.
En las últimas décadas, los científicos vienen advirtiendo sobre el aumento de este tipo de huracanes lentos, potenciados por el cambio climático y el calentamiento de los océanos. Mientras la tormenta avanza, los equipos de rescate se preparan para enfrentar días difíciles. Las imágenes que llegan desde Jamaica muestran calles convertidas en ríos, techos arrancados de cuajo y miles de personas buscando refugio en escuelas e iglesias. En el resto de la región, la sensación es de incertidumbre: Cuba refuerza su sistema de defensa civil y las Bahamas ya declararon estado de emergencia.






